Alertes Cochenilles en oléiculture
Recensement filière pour la récolte 2024
Face à une recrudescence de signalements de cochenilles diaspines sur oliviers impactant la récolte ces dernières années, la Chambre d’Agriculture du Var, le Centre Technique de l’Olivier – France Olive, le CIVAM des Bouches du Rhône et la Chambre d’Agriculture des Alpes Maritimes, réalisent un état des lieux exhaustif de la présence de cochenilles sur le territoire oléicole pour la récolte 2024.
Je réponds au formulaire de recensement unique
Ce questionnaire s’adresse à tout producteur d’olives (productions principales ou non) et mouliniers.
Ce recensement reste accessible jusqu’à fin janvier 2025 et les réponses faites peuvent être enregistrées et modifiées tout au long de cette période.
Je participe au recensement
Je suis moulinier, je relaie l’information
Mouliniers, vous trouverez un document pdf illustré à télécharger pour un affichage au moulin. Merci pour votre important relai auprès des producteurs (professionnels et particuliers) qu’ils aient ou non des cochenilles sur leurs olives.
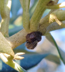
Les cochenilles en Oléiculture
Il existe de nombreuses cochenilles différentes ~8 500, classées en plus de 20 familles. Ce sont des insectes piqueurs-suceurs généralement très polyphages, c’est-à-dire qu’ils sont non spécifiques à une plante hôte.
Les Coccidae (comme la cochenille noire de l’olivier) ou les Pseudococcidae sécrètent du miellat à l’origine de la fumagine, un complexe de champignons qui noircit les feuilles/branches. D’autres familles comme les Diaspididae ne produisent pas de miellat et ne sont pas synonymes de fumagine.
Zoom sur les 3 principales familles rencontrées en Oléiculture
Famille 1. Les Coccidae : cochenilles à carapace, les plus fréquemment rencontrées en verger d’oliviers, sécrétant du miellat et provoquant de la fumagine

- Famille 2. Les Pseudococcidae : cochenilles farineuses, sécrétant également du miellat à l’origine de fumagine
- Famille 3. Les Diaspididae : cochenilles à bouclier, n’entrainant pas de développement de fumagine mais occasionnant un affaiblissement de l’arbre et perturbant la croissance des fruits
Lutter contre les cochenilles en Oléiculture
De manière générale les cochenilles (familles 1 et 2) sont très prédatées dans les vergers. Il existe des prédateurs généralistes adultes et/ou sous forme larvaire : comme les coccinelles, certaines guêpes, les chrysopes, les punaises, les syrphes, ou encore les mésanges…

Il existe aussi des prédateurs spécifiques comme des micro-hyménoptères genre Metaphycus sp. ou Scutellista cyanea dont les larves se développent au détriment de la cochenille (photo de gauche). L’adulte laisse un trou de sortie sur la carapace, facile à observer (photo centrale) synonyme de cochenille morte, tandis qu’une cochenille non parasitée pourra poursuivre son cycle et produire ses œufs (photo de droite)
La taille est une action prophylactique importante contre les foyers de cochenilles : suppression des rameaux infestés, aération du feuillage.
En dernier recours si les populations de cochenilles deviennent un problème (développement de fumagine, pullulations), une lutte chimique peut être employée. Pour retrouver la liste des produits phytosanitaires homologués en oléiculture, se référer au Cahier de l’oléiculteur avec et sans Certiphyto (document en téléchargement libre) :
sur le site de France OLIVE
ou plus généralement pour toute production sur www.ephy-anses.fr.
Vos interlocuteurs en Oléiculture
Pour toute question relative à la reconnaissance et la lutte contre les cochenilles en oléiculture, rapprochez-vous de votre technicien oléicole local : en Chambre d’Agriculture, en CIVAM, en coopérative, indépendant…
Ou remplissez le formulaire de recensement et cochez la case « Je souhaite l’appui d’un conseiller pour identifier mes cochenilles ».
Contacts Chambre d’Agriculture du Var
Fanny VERNIER, conseillère oléicole : fanny.vernier@var.chambagri.fr
Olivier ROUX, oléiculteur à La Londe, secrétaire génénral adjoint et élu référent sur l’oléiculture.








